24/04/2026

PressMega

AI人工智能報道資訊網站

沙田小瀝源住宅地暫收9份標書 中原料可提供280伙 – 點新聞

PressMega


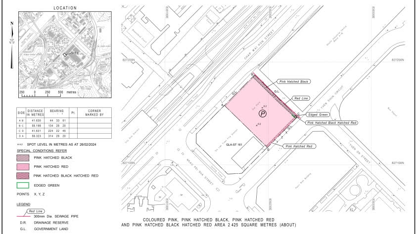
位於沙田小瀝源的住宅地最近收到了9份標書,中原地產估計可以提供280個住宅單位。這些標書的出現顯示了對該區域房地產的高度關注和需求。這也反映了市場對於這個地區開發潛力的看好程度。沙田一直是香港人熱門的居住地區之一,擁有完善的基礎設施和便利的交通系統。有望在小瀝源地區開發的280個住宅單位將為更多人提供舒適和方便的居住環境。這也將進一步拉動當地經濟,帶動相關產業的發展。對於投資者來說,這是一個不容錯過的機會,可以考慮在這個熱門地區投資房地產。 想知得更多詳情?立即Click這裡


本文章由Open AI人工智能編寫,僅屬學術用途。
可參考相關同類新聞